We’ve been reflecting over the past couple weeks on what we will miss the most when we leave Jamaica. We also, consequently, have an ongoing list of the things we will not miss. Here goes:
Things We Will Miss

The People Of course! How could we ever forget the people we’ve grown to know and love here. They are one of a kind. The kids are especially dear to our hearts.
Greetings We love that everyone greets each other, whether or not you’re acquainted. It’s easy and feels nice to acknowledge each other with: “Morning!” In our community, I (Michelle) am sometimes greeted, “Morning, Teach!” It makes me proud because teachers are respected members of the community, and it feels like I belong when people on the road know who I am. My students will also call out to me with an emphatic: “Miss Chang!” No hi, hello, how are you. Just the name. I’ll miss that.
Sass We really appreciate that it’s acceptable to speak your mind here (in certain situations). People speak with boldness and attitude. As a cultural norm, it may not be a recipe for great self-esteem building, but on the other hand, people don’t take expressions of disapproval too personally. It’s a refreshing contrast to our home culture’s tendency to sugar-coat and beat around the bush. We’ll miss having a little more freedom to respond with sass; “No sah, mi kyaan badda wid dat!” [Translation: No sir, I’m not going to do that!]
Public Transit While cramming five people into the backseat of a taxi car has long lost its novelty, we will definitely look back on our escapades with public transportation with much fondness. Some of our favorite moments have been in public buses, the countryside flying by, windows down, and rock-steady tunes on the radio. It made us feel at one with the heartbeat of Jamaica.
Fruit If a papaya a day kept the doctor away, we’d be good to go. The wealth of fresh tropical fruit, both from our own backyard and the local farmers’ market, is a privilege that cannot be matched. While some of this produce does get shipped to the mainland U.S., it will never be as good as when it’s fresh and picked ripe- nor will it be as affordable. Other new favorite fruits of ours we will truly be leaving behind, as they can really only be found in the Caribbean.
Singing Jamaicans are not ashamed to sing wherever they are. Group sing-a-longs to pop ballads during a bus ride is rather endearing. The sound of gospel music and island rhythms can be heard almost everywhere you go. And we definitely came across some real musical talent during our two years- like the gospel singers at church and our favorite high school music concert.
Sun We had very few days without bright blue skies and sunshine- at least in the morning. Of course, with the sun comes the heat, which sometimes was a challenge. But now that we’ve adapted to the heat, I don’t know how we’re going to survive a winter back in the Northwest!
Things We Will Not Miss
Trucks Five days a week, I (Michelle) walk to and from school along the main South Coast thoroughfare, which has no sidewalk. The large semi-trucks, which are way too big for our small country roads, hurtle through our community and skim past me like race cars. To further infuriate us, they avoid using up their brake pads by engine braking around winding corners. This causes an obnoxiously loud rumbling noise which can easily be heard from our apartment, from 5am onward. It’s so loud it sounds as if it were right outside the window.
Bites It used to be that mosquito bites were annoying. That was until we discovered sand flies, which live in our grass, and the elusive flea-type bugs that apparently inhabit our living room. The bites of both of these critters swell and itch for upwards of a week. Oh to be free of the bites!!
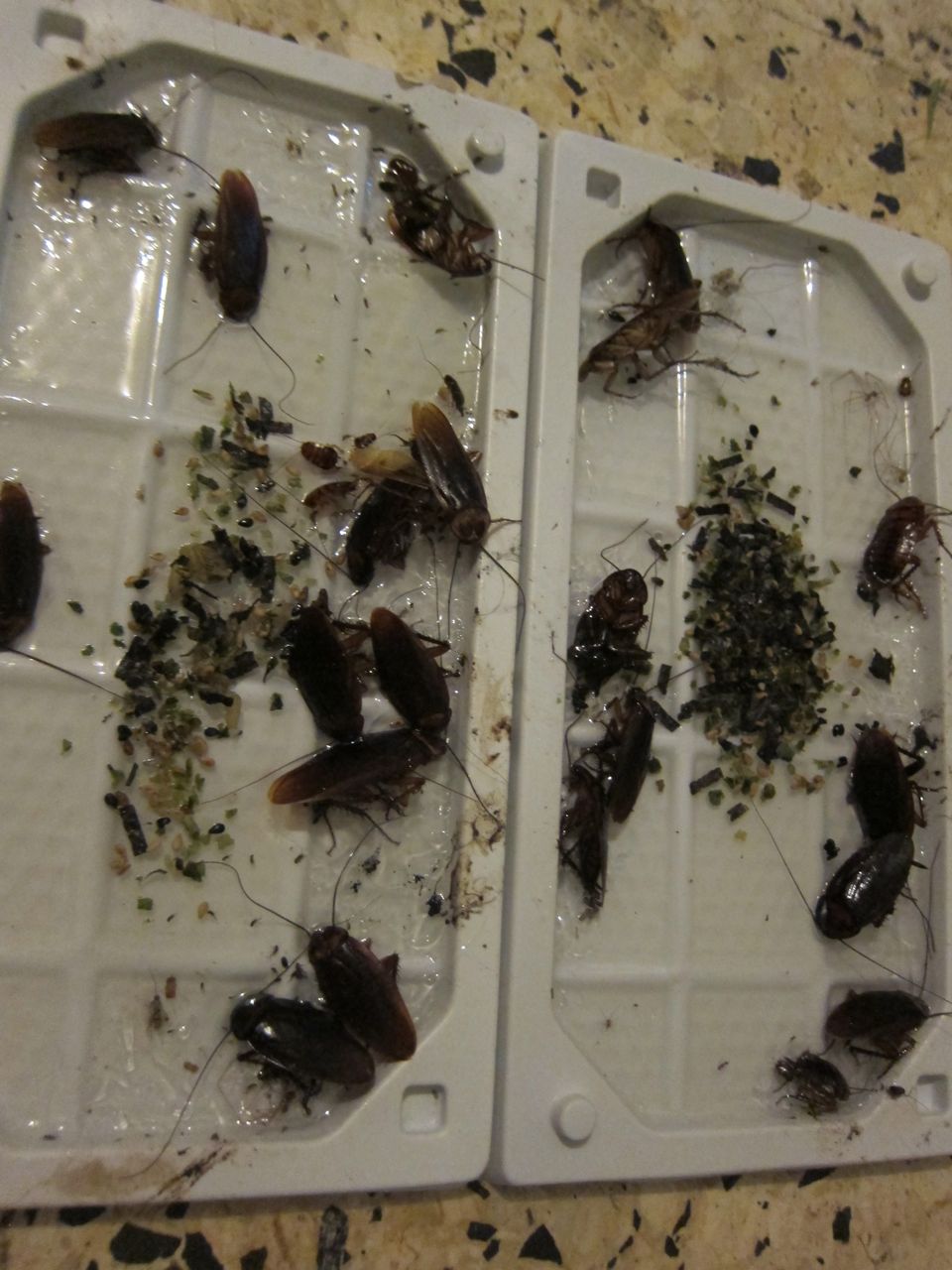
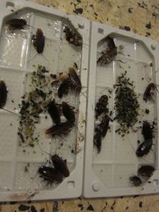
Roaches Jedd has been in constant battle with these ugly insects (as well as ants) in the kitchen. It will be a relief to be able to leave a dirty dish out once in a while.
Trash and Burn Resources for proper trash disposal and collection are limited, so road-side littering is rampant and very unappealing. The quick and easy solution is to burn piles of trash, releasing who-knows-what-toxins into our breathing space. We’re looking forward to cleaner air and landscapes, and to the ability to recycle again.
Doubtless there will be many more things that will occur to us in the coming weeks and months. For all those who have lived in Jamaica before, is there anything you’re nostalgic for? What were you most thankful to leave behind?



Amazing Pros and Cons and Beauty mixed with Beast. I have enjoyed the Bahama’s and never experience these discomforts. But, In Puerto Rico i couldn’t sleep for the roaches. I know that in Alabama the red ants discourage me to live there.But, is there truly any where that ain’t going give you a little problem in the insect department.
Best of luck in your transition! Enjoy the grief of leaving and the joy of coming to the new life!